ブログ 住宅ローンの完済年齢が平均73歳まで上昇した 平均寿命が年々上昇していることはよくメディアでも報じられていますが、それに伴いとは言いませんが、住宅ローンの完済時の平均年齢も年々上昇しています。家を持つことは... 2023年11月24日
ブログ 相続した実家を売却するのか賃貸に出すのか悩む 相続した実家をどうするのかは悩ましい問題です。そのまま引き継いでそこに居住できれば、多少のリフォームは必要になるかも知れませんが、それ以上の余計な費用も手間もか... 2023年11月20日
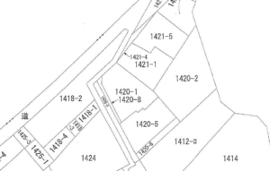
ブログ 外の水道を誰かが勝手に使っているという相談 建売分譲住宅の現場での出来事でした。複数の建物を連棟で建築した物件が完売して少し経ったある日に、誰かがお隣の〇〇さん宅の外水道を勝手に使って車を洗車しているとの... 2023年11月17日
ブログ 松本市筑摩1丁目の3区画分譲地のご紹介(ご成約) 松本市筑摩小学校の北側道路沿いにて、お取引業者様の3区画分譲地が完成販売中です。筑摩小学校正門まで歩いて約5分、中学校は開成中学校まで約2kmの通学区となります... 2023年11月13日
ブログ 不動産会社に買取ってもらう方が良い場合とは 不動産の売却には一般市場で不動産会社の仲介で売るケースともうひとつ、不動産会社に買い取ってもらう方法があります。仲介の場合の方が買取りに比べて売却価格は高くなる... 2023年11月9日
ブログ 地中残置物がないか心配になる場合にできること 土地の購入を検討する際には広さや価格はもちろんのこと、土地の地面の下に何か埋まっていないかと心配になるかと思います。特に以前に工場や作業場などの建物が建っていた... 2023年11月6日
ブログ 不動産売却は価格の設定以外にも大事な要素が 不動産の売却に向けて不動産会社と相談して価格が決まったら売却活動に入ります。売主側の希望価格は多くの場合はより高くということになりますが、売るのが目的ですから当... 2023年11月2日
ブログ 気が遠くなる半世紀50年住宅ローンはどうなのか ひと昔前までは住宅ローンの最長返済期間は35年間でした。それが今では半世紀、最長50年間の返済期間設定が可能な商品が各金融機関から出ています。遠い先のことは誰に... 2023年10月30日
ブログ 親が住んでいた自宅敷地の相続税評価は8割減額 高額な納税となることが多い相続税、お国もここぞと言わんばかりに高額な税額を課しています。贅沢税とも言われますが、そうとも言えない家族間の資産などについてはさまざ... 2023年10月26日
ブログ 不動産会社による近隣調査はどこまでやるのか 不動産の購入を検討する際には、価格はもちろん周辺環境や近隣情報などはとても気になるところです。不動産会社が説明する重要事項には物件の法的な制限や取引条件について... 2023年10月23日
ブログ 大手ハウスメーカーも新築建売住宅の販売を強化 新築建売住宅というとローコスト系のビルダーが頭に浮かぶ方も多いかと思いますが、ここ数年の間に大手のハウスメーカーさんも積極的に参入しています。鉄骨系のメーカーさ... 2023年10月19日
ブログ 自動販売機の設置は思っていた以上にハードルが高い 弊社の本店移転を機に、道路沿いの弊社所有スペースに自動販売機の設置を検討いたしました。設置できるスペースと電源があればと安易に考えていましたが、実際にネット経由... 2023年10月16日
ブログ 駅から近いマンションより○○が近い方が人気 マンションの魅力は何といってもその立地、多くの分譲マンションは駅から徒歩○分とうたって宣伝しています。確かに駅の利用頻度の高い方からすれば必須の条件となるでしょ... 2023年10月13日
ブログ 新築なのにクローゼットの中で雨が降っている 前職で新築建売住宅の建売用地の仕入れとアフターサービスを担当していた頃の出来事です。週末の朝7時頃に枕元の携帯が鳴って寝ぼけ眼で出たところ、片言の日本語で押し入... 2023年10月9日
ブログ 不動産売却の検討はまず何から始めればよいのか 不動産の売却を考えているが何から始めたらよいものなのか、そうそう経験することではないので何から手を付ければよいものかと思慮するところでしょう。多くの方はまずは不... 2023年10月6日
ブログ 松本市北深志1丁目の住宅用地のご紹介です(ご成約) 松本市の中心市街地、松本城まで徒歩7~8分のところに位置する住宅用地の販売を始めました。 南側の幅4.5mの道路に接していて陽当たりは良好です。約40坪と小さめ... 2023年10月2日
ブログ 道路のように見えても実際は単なる通路であることも 道路は国道や県道などの公道と個人所有となっている私道に分かれます。建物を建築する際には原則は4m幅以上の公道に2m以上接している土地でないと建物建築の許可が下り... 2023年9月28日
ブログ 不動産競売による落札価格が高上りになっている ローンや税金・・・様々な事情で支払いが滞ってしまいその結果、民事執行法に基づいて強制的に不動産を売却する競売。ひと昔前に比べてずいぶんと落札価格が高くなっていて... 2023年9月25日
ブログ 不動産の査定価格の早すぎる提示は注意が必要 不動産の査定価格は唯一無二で定価というものが存在しないので査定を依頼する会社によってその価格はバラバラです。また高く売りたい売主側と安く買いたい買主側でその価格... 2023年9月22日
ブログ 島内分譲地の決済お引渡しありがとうございました 先日に島内の弊社分譲地の決済お引渡しをさせていただきました。島内地域は原則建物の建築ができない市街化調整区域に指定されている範囲が広く、住宅用地の情報があまり出... 2023年9月19日